Bought with Oberg Insurance & Real Estate Agency, Inc.
For more information regarding the value of a property, please contact us for a free consultation.
Key Details
Sold Price $69,000
Property Type Land
Listing Status Sold
MLS Listing ID 1594225
Annual Tax Amount $473
Tax Year 2023
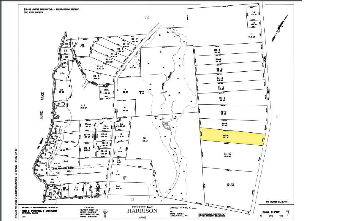
Lot Size 7.610 Acres
Property Description
Enjoy this large building lot. Close to lakes. Possible views. Great location between Harrison and Naples. No further subdivision allowed.
Location
State ME
County Cumberland
Zoning RES
Exterior
Parking Features No Driveway, None, Off Street
View Y/N No
Building
Lot Description Wooded, Near Public Beach, Near Town, Rural
Sewer None, Septic Needed
Water Well Needed on Site, None
Read Less Info
Want to know what your home might be worth? Contact us for a FREE valuation!

Our team is ready to help you sell your home for the highest possible price ASAP



